Chris Dolce
Satellite imagery is giving meteorologists a jaw-dropping view of Laura's growth into a major hurricane.
This first satellite loop shows Laura's rapid intensification from Tuesday afternoon to Wednesday afternoon. Maximum sustained winds increased by 65 mph in the 24 hours ending 1 p.m. CDT on Wednesday. That means Laura went from a 75 mph Category 1 to a Category 4 major hurricane with 140 mph winds.

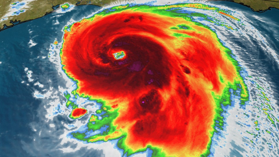
Here is a closer view of Laura on infrared satellite just after it became a Category 3 on Wednesday morning.

Click the play button below to see an animated view of Laura on satellite and the lightning it was producing when it became a major hurricane.
Next is a visible satellite view of Laura Wednesday morning just after sunrise. Visible satellite imagery shows how the hurricane would look if you were in space viewing it with your naked eye.

This image is a computer model simulation of Laura's wind field as it approached the Gulf Coast overlayed on satellite on Wednesday morning. Tropical-storm-force winds extended up to 175 miles from the center at that time.

Laura's satellite appearance dominated this wider view of the Atlantic basin on Wednesday morning. No other named storms were active at the time.

The Weather Company’s primary journalistic mission is to report on breaking weather news, the environment and the importance of science to our lives. This story does not necessarily represent the position of our parent company, IBM.
The Weather Company’s primary journalistic mission is to report on breaking weather news, the environment and the importance of science to our lives. This story does not necessarily represent the position of our parent company, IBM.
No comments:
Post a Comment